Terrain constructible de 325 m² à Los Masos - Opportunité rare !
Images
Description
Terrain constructible de 325 m² à Los Masos - Opportunité rare !
Situé sur la charmante commune de Los Masos, à seulement quelques minutes de Prades, découvrez ce beau terrain constructible de 325 m² en 3 faces, idéal pour concrétiser votre projet de maison.
Le terrain, plat et bien exposé, offre un cadre paisible et verdoyant, avec une vue dégagée sur les montagnes du Canigou. L'environnement est résidentiel et calme, parfait pour une vie de famille ou une résidence secondaire.
Caractéristiques :
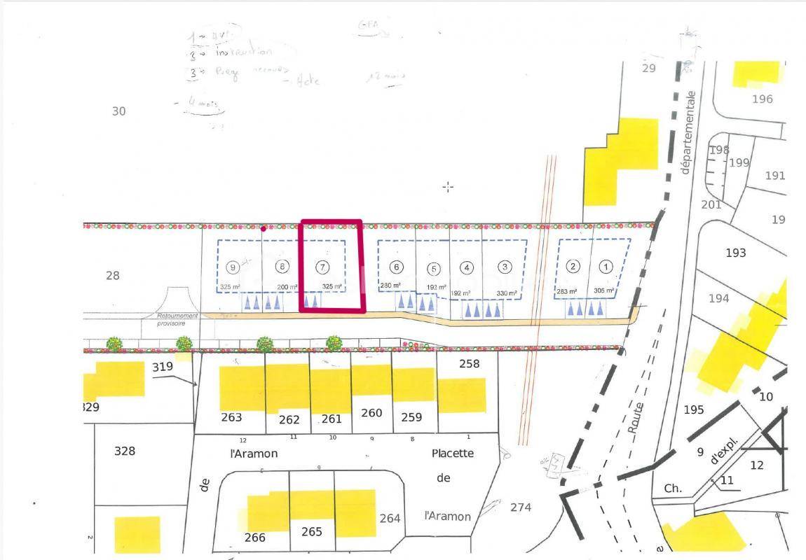
Superficie : 325 m²
Terrain viabilisé
Libre de constructeur
Proximité : écoles, commerces et services
Ce terrain offre un excellent rapport qualité / prix sur le secteur, avec un potentiel de construction intéressant dans un cadre naturel et recherché.
Prix : 75000 euros
Contactez-nous dès aujourd'hui pour plus d'informations ou pour organiser une visite ! Maxime (Numéro supprimé)
Cette annonce référence 310234 vous est présentée par votre agent commercial BSK Immobilier MAXIME DEREY (EI) immatriculé au RSAC de PERPIGNAN (66000) sous le numéro 53288790800020.
Prix du bien : 75 000,00 €
Les honoraires d'agence sont à la charge du vendeur.
Les informations sur les risques auxquels ce bien est exposé sont disponibles sur le site Géorisques : www.georisques.gouv.fr
Logement susceptibles de vous intéresser
Nous vous proposons de découvrir aussi cette sélection de logements situés à moins de 10km de Prades et qui seraient susceptibles de vous intéresser.
Arboussols
TERRAINSitué à Arboussols, dans le Bas Conflent, à seulement 20 minutes de Prades, ce magnifique terrain de 1 000 m² vous séduira par son cadre naturel préservé et sa vue imprenable sur le Canigou et le Prieuré de Marcevol. Caractéristiques principalesTerrain entièrement viabilisé et prêt à bâtirSuperficie : 1 000 m²Emprise au sol : 394 m²Configuration plate, facilitant la construction Atouts et possibilitésPossibilité de construire une grande villa ou de diviser la parcelle pour édifier deux maisonsObligation de respecter le charme du hameau avec une construction en pierre ou parement pierreEnvironnement calme, paisible et authentique, au cœur d’un paysage typique des Pyrénées-Orientales Une opportunité rare d’acquérir un terrain d’exception avec vue panoramique, dans un cadre à la fois authentique et préservé. À visiter sans attendre ! Les honoraires sont à la charge du vendeur.Les informations sur les risques auxquels ce bien est exposé sont disponibles sur le site Géorisques : www. georisques. gouv. fr.Contactez Renaud VIVENZI Entrepreneur Individuel, Agent commercial OptimHome (RSAC N(Numéro supprimé) Greffe de PERPIGNAN) (Numéro supprimé) (réf. 598364 )
Vernet-les-Bains
TERRAINVous cherchez un terrain ensoleillé pour bâtir votre maison dans un cadre naturel exceptionnel ? Voici une opportunité rare ! Le terrainTerrain constructible avec viabilisation partielleRaccordé aux eaux usées et à l’eau potableEnvironnement calme, sans vis-à-vis directExposition idéale, très ensoleillé La maisonnette existanteSurface : 30 m²Composée d’une chambre, d’un séjour et d’une salle d’eauÀ raccorder et à rénoverParfaite pour y vivre le temps de construire votre maison principale ou à conserver comme studio indépendant (famille, amis, location saisonnière) Atouts de Vernet-les-BainsVillage thermal réputé, niché au pied du CanigouCadre verdoyant et ensoleillé toute l’annéeIdéal pour résidence principale ou secondaireA SAISIR RAPIDEMENT ! Ce terrain avec maisonnette est une occasion unique de lancer votre projet immobilier dans un environnement privilégié.Cette annonce référence 314009 vous est présentée par votre agent commercial BSK Immobilier EMMA BAEZA (EI) immatriculé au RSAC de PERPIGNAN (66000) sous le numéro 94529677000015.Prix du bien : 136 000,00 €Les honoraires d’agence sont à la charge du vendeur.Les informations sur les risques auxquels ce bien est exposé sont disponibles sur le site Géorisques : www.georisques.gouv.fr
Rigarda
TERRAINLmd immobilier- Simon Brisedou vous présente,Parcelle viabilisée de 1167m² , libre constructeur, vous permettent de réaliser votre projet de construction sur mesure pour une villa 4 faces.Petit lotissement niché dans un environnement calme, offrant une splendide vue sur le Canigou.Annonce publiée par Simon Brisedou (EI) votre agent commercial en immobilier LMDimmobilier à Thuir, 66300 immatriculé au RSAC de Perpignan sous le n(Numéro supprimé). Consultez nos tarifs sur le site LMDimmobilier.Les informations sur les risques auxquels ce bien est exposé sont disponibles sur le site Géorisques : www.georisques.gouv.fr.
Prades
TERRAINPRADES A VENDRE Terrain constructible de 500 m², construction 4 faces possible, libre de tout constructeur, terrain viabilisé situé dans le lotissement « LES COTEAUX DU CANIGOU », proche de toutes les commodités à 5 min en voiture du centre ville. Disponibilité immédiate, environnement calme et résidentiel.Le terrain est situé à la fin du lotissement plusieurs frais déjà engagés :- Test infiltration- Etude du sol G1- Mur de clôture mitoyenne construit- Permis de construire déposé et accordé en mairie avec COS de 125 m2 , piscine , garage (COS max 140 m2).RARE TERRAIN 4 FACES DU LOTISSEMENTPOUR TOUTE INFORMATION N’HESITEZ PAS A ME CONTACTER.PRIX 87 000 euros Honoraires agence inclus.Pour tous renseignements et visites, contactez Franck Lefebvre au (Numéro supprimé) ou par mail (Email supprimé) – agissant en tant que conseiller immobilier pour la SAS Propriétés privées, RCS 478 849 896 Mandat n°420 087-Le professionnel sécurise et garantit votre projet immobilier-Selon l’article L.561.5 du Code Monétaire et Financier, pour l’organisation de la visite, la présentation d’une pièce d’identité vous sera demandée.Cette présente annonce a été rédigée sous la responsabilité éditoriale de Franck LEFEBVRE agissant sous le statut d’agent commercial immatriculé au RSAC PERPIGNAN 478849896 auprès de SAS PROPRIETES PRIVEES, au capital de 44 920 euros, ZAC LE CHÊNE FERRÉ – 44 ALLÉE DES CINQ CONTINENTS 44120 VERTOU; SIRET 487 624 777 00040, RCS Nantes. Carte Professionnelle Transactions sur immeubles et fonds de commerce (T) et Gestion immobilière (G) n°CPI 4401 2016 000 010 388 délivrée par la CCI Nantes – Saint Nazaire. Compte séquestre n(Numéro supprimé)67 BPA SAINT-SEBASTIEN-SUR-LOIRE (44230). Garantie GALIAN-SMABTP – 89 rue de la Boétie, 75008 Paris – n°28137 J pour 2 000 000 euros pour T et 120 000 euros pour G. Assurance responsabilité civile professionnelle par GALIAN-SMABTP n° de police 28137.JLes informations sur les risques auxquels ce bien est exposé sont disponibles sur le site Géorisques « www.georisques.gouv.fr » – Franck LEFEBVRE (EI) Agent Commercial – Numéro RSAC : PERPIGNAN 478849896 – .
Rigarda
TERRAINLmd immobilier- Simon Brisedou vous présente,Parcelle viabilisée de 1150 m², libre constructeur, vous permettent de réaliser votre projet de construction sur mesure pour une villa 4 faces.Petit lotissement niché dans un environnement calme, offrant une splendide vue sur le Canigou.Annonce publiée par Simon Brisedou (EI) votre agent commercial en immobilier LMDimmobilier à Thuir, 66300 immatriculé au RSAC de Perpignan sous le n(Numéro supprimé). Consultez nos tarifs sur le site LMDimmobilier.Les informations sur les risques auxquels ce bien est exposé sont disponibles sur le site Géorisques : www.georisques.gouv.fr.
Vinça
TERRAINVinça : terrain de 539 m² à vendreTerrain de 539 m² à vendre à Vinça en centre village (66320).Il est à vendre pour la somme de 94 000 €. Terrain présenté pour une construction MAISONS BALENCY. Prenez contact avec Maryline MARIE : (Numéro supprimé) pour convenir d’un rendez-vous en agence afin d’étudier votre projet de construction dans sa globalité. Etude personnalisée. Plans sur mesure pour une maison aux dernières normes par le groupe leader de la construction en France. Contrat CCMI.
Vinça
TERRAIN ET MAISONA vendre sur VINCASuperficie Maison : 95 m²Superficie Terrain : 500 m²Caractéristiques : Plain pied, 3 chambres dont une suite parentale, 1 cellier, 1 WC, 1 salle de bains, une pièce de vie avec cuisine ouverte et un garage.Cette maison est neuve et répond à la règlementation RE2020. Matériaux de qualité.La construction est entièrement personnalisable selon vos souhaits et vos besoins.Elle est proposée à l’achat pour 271 660 €.Intéressez par cette maison ? Ou envie d’un projet personnalisé ?N’hésitez pas à contacter Amélie : (Numéro supprimé) pour tout renseignement.Maisons de Manon Perpignan vous accompagne dans toutes vos démarches et dans tous vos projets immobiliers.
Prades
TERRAINVENTE d’un terrain 3 Faces de 357 m² à PradesIl est proposé à l’achat pour 62 000 €. Contactez Amélie POC ((Numéro supprimé)) pour obtenir de plus amples renseignements sur le terrain, sur les modalités de vente ou sur les démarches à suivre. Maisons de Manon Perpignan vous accompagne dans tous vos projets immobiliers.
Vinça
TERRAIN ET MAISONMAISON 4 PIÈCES NEUVEAyez le coup de coeur pour cette maison de 4 pièces de plain-pied de 81 m².De plain pied, elle se compose de de trois chambres, d’une pièce de vie avec coin cuisine, d’une salle de bains, un WC séparé, un cellier et un garage. Le terrain de la propriété s’étend sur 500 m².Son prix de vente est de 226 800 €Contactez Amélie POC ((Numéro supprimé)) pour toute information sur la maison, sur les modalités de vente ou sur les démarches à suivre. Maisons de Manon Perpignan vous accompagne à toutes les étapes de votre projet et dans tous vos projets immobiliers.
L’actualité immobilière à Prades
27/11/2023
02/11/2023
30/10/2023
20/10/2023
16/10/2023
16/10/2023