Terrain à vendre

Terrain à vendre à Port-Jérôme-sur-Seine (76170)

49 300 € 86 €/m²
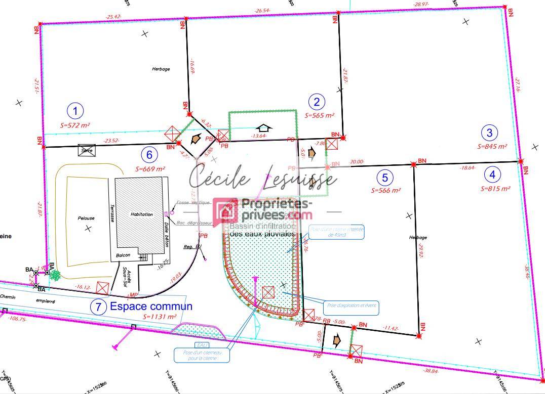
572 m²

Port-Jérôme-sur-Seine

TERRAIN

Découvrez ce beau terrain plat à Notre-Dame-de-Gravenchon (PJ2S), au calme, proche des commerces et avec accès facile aux grands axes.Viabilisé, avec coffrets de raccordement sur le terrain.Libre de constructeur!Assainissement individuel à prévoir.Prix: 49300 euros, honoraires charge vendeurs.Les autres parcelles du lotissement présentées sur le plan sont également en vente.Me consulter pour plus d’informations.Les informations sur les risques auxquels ce bien est exposé sont disponibles sur le site Géorisques: (Lien supprimé) />Bien non soumis au DPE.Pour visiter et vous accompagner dans votre projet, contactez Cécile LESUISSE, au (Numéro supprimé) ou, par courriel à (Email supprimé).Selon l’article L.561.5 du Code Monétaire et Financier, pour l’organisation de la visite, la présentation d’une pièce d’identité vous sera demandée.Cette présente annonce a été rédigée sous la responsabilité éditoriale de Cécile LESUISSE agissant sous le statut d’agent commercial immatriculé au RSAC Le Havre 952 627 412 auprès de SAS PROPRIETES PRIVEES, au capital de 44 920 euros, ZAC LE CHÊNE FERRÉ – 44 ALLÉE DES CINQ CONTINENTS 44120 VERTOU; SIRET 487 624 777 00040, RCS Nantes. Carte Professionnelle Transactions sur immeubles et fonds de commerce (T) et Gestion immobilière (G) n°CPI 4401 2016 000 010 388 délivrée par la CCI Nantes – Saint Nazaire. Compte séquestre n(Numéro supprimé)67 BPA SAINT-SEBASTIEN-SUR-LOIRE (44230). Garantie GALIAN-SMABTP – 89 rue de la Boétie, 75008 Paris – n°28137 J pour 2 000 000 euros pour T et 120 000 euros pour G. Assurance responsabilité civile professionnelle par GALIAN-SMABTP n° de police 28137.JMandat réf : 421549. – Le professionnel garantit et sécurise votre projet immobilier. Cécile LESUISSE (EI) Agent Commercial – Numéro RSAC : Le Havre 952 627 412 – .

54 300 € 96 €/m²
565 m²

Port-Jérôme-sur-Seine

TERRAIN

Découvrez ce beau terrain plat à Notre-Dame-de-Gravenchon (PJ2S), au calme, proche des commerces et avec accès facile aux grands axes.Viabilisé, avec coffrets de raccordement sur le terrain.Libre de constructeur!Assainissement individuel à prévoir.Prix: 54300 euros, honoraires charge vendeurs.Les autres parcelles du lotissement présentées sur le plan sont également en vente.Me consulter pour plus d’informations.Les informations sur les risques auxquels ce bien est exposé sont disponibles sur le site Géorisques: (Lien supprimé) />Bien non soumis au DPE.Pour visiter et vous accompagner dans votre projet, contactez Cécile LESUISSE, au (Numéro supprimé) ou, par courriel à (Email supprimé).Selon l’article L.561.5 du Code Monétaire et Financier, pour l’organisation de la visite, la présentation d’une pièce d’identité vous sera demandée.Cette présente annonce a été rédigée sous la responsabilité éditoriale de Cécile LESUISSE agissant sous le statut d’agent commercial immatriculé au RSAC Le Havre 952 627 412 auprès de SAS PROPRIETES PRIVEES, au capital de 44 920 euros, ZAC LE CHÊNE FERRÉ – 44 ALLÉE DES CINQ CONTINENTS 44120 VERTOU; SIRET 487 624 777 00040, RCS Nantes. Carte Professionnelle Transactions sur immeubles et fonds de commerce (T) et Gestion immobilière (G) n°CPI 4401 2016 000 010 388 délivrée par la CCI Nantes – Saint Nazaire. Compte séquestre n(Numéro supprimé)67 BPA SAINT-SEBASTIEN-SUR-LOIRE (44230). Garantie GALIAN-SMABTP – 89 rue de la Boétie, 75008 Paris – n°28137 J pour 2 000 000 euros pour T et 120 000 euros pour G. Assurance responsabilité civile professionnelle par GALIAN-SMABTP n° de police 28137.JMandat réf : 421986. – Le professionnel garantit et sécurise votre projet immobilier. Cécile LESUISSE (EI) Agent Commercial – Numéro RSAC : Le Havre 952 627 412 – .

65 300 € 77 €/m²
845 m²

Port-Jérôme-sur-Seine

TERRAIN

Découvrez ce beau terrain plat à Notre-Dame-de-Gravenchon (PJ2S), au calme, proche des commerces et avec accès facile aux grands axes.Viabilisé, avec coffrets de raccordement sur le terrain.Libre de constructeur!Assainissement individuel à prévoir.Prix: 65300 euros, honoraires charge vendeurs.Les autres parcelles du lotissement présentées sur le plan sont également en vente.Me consulter pour plus d’informations.Les informations sur les risques auxquels ce bien est exposé sont disponibles sur le site Géorisques: (Lien supprimé) />Bien non soumis au DPE.Pour visiter et vous accompagner dans votre projet, contactez Cécile LESUISSE, au (Numéro supprimé) ou, par courriel à (Email supprimé).Selon l’article L.561.5 du Code Monétaire et Financier, pour l’organisation de la visite, la présentation d’une pièce d’identité vous sera demandée.Cette présente annonce a été rédigée sous la responsabilité éditoriale de Cécile LESUISSE agissant sous le statut d’agent commercial immatriculé au RSAC Le Havre 952 627 412 auprès de SAS PROPRIETES PRIVEES, au capital de 44 920 euros, ZAC LE CHÊNE FERRÉ – 44 ALLÉE DES CINQ CONTINENTS 44120 VERTOU; SIRET 487 624 777 00040, RCS Nantes. Carte Professionnelle Transactions sur immeubles et fonds de commerce (T) et Gestion immobilière (G) n°CPI 4401 2016 000 010 388 délivrée par la CCI Nantes – Saint Nazaire. Compte séquestre n(Numéro supprimé)67 BPA SAINT-SEBASTIEN-SUR-LOIRE (44230). Garantie GALIAN-SMABTP – 89 rue de la Boétie, 75008 Paris – n°28137 J pour 2 000 000 euros pour T et 120 000 euros pour G. Assurance responsabilité civile professionnelle par GALIAN-SMABTP n° de police 28137.JMandat réf : 421987. – Le professionnel garantit et sécurise votre projet immobilier. Cécile LESUISSE (EI) Agent Commercial – Numéro RSAC : Le Havre 952 627 412 – .

60 300 € 74 €/m²
815 m²

Port-Jérôme-sur-Seine

TERRAIN

Découvrez ce beau terrain plat à Notre-Dame-de-Gravenchon (PJ2S), au calme, proche des commerces et avec accès facile aux grands axes.Viabilisé, avec coffrets de raccordement sur le terrain.Libre de constructeur!Assainissement individuel à prévoir.Prix: 60300 euros, honoraires charge vendeurs.Les autres parcelles du lotissement présentées sur le plan sont également en vente.Me consulter pour plus d’informations.Les informations sur les risques auxquels ce bien est exposé sont disponibles sur le site Géorisques: (Lien supprimé) />Bien non soumis au DPE.Pour visiter et vous accompagner dans votre projet, contactez Cécile LESUISSE, au (Numéro supprimé) ou, par courriel à (Email supprimé).Selon l’article L.561.5 du Code Monétaire et Financier, pour l’organisation de la visite, la présentation d’une pièce d’identité vous sera demandée.Cette présente annonce a été rédigée sous la responsabilité éditoriale de Cécile LESUISSE agissant sous le statut d’agent commercial immatriculé au RSAC Le Havre 952 627 412 auprès de SAS PROPRIETES PRIVEES, au capital de 44 920 euros, ZAC LE CHÊNE FERRÉ – 44 ALLÉE DES CINQ CONTINENTS 44120 VERTOU; SIRET 487 624 777 00040, RCS Nantes. Carte Professionnelle Transactions sur immeubles et fonds de commerce (T) et Gestion immobilière (G) n°CPI 4401 2016 000 010 388 délivrée par la CCI Nantes – Saint Nazaire. Compte séquestre n(Numéro supprimé)67 BPA SAINT-SEBASTIEN-SUR-LOIRE (44230). Garantie GALIAN-SMABTP – 89 rue de la Boétie, 75008 Paris – n°28137 J pour 2 000 000 euros pour T et 120 000 euros pour G. Assurance responsabilité civile professionnelle par GALIAN-SMABTP n° de police 28137.JMandat réf : 421988. – Le professionnel garantit et sécurise votre projet immobilier. Cécile LESUISSE (EI) Agent Commercial – Numéro RSAC : Le Havre 952 627 412 – .

54 300 € 96 €/m²
566 m²

Port-Jérôme-sur-Seine

TERRAIN

Découvrez ce beau terrain plat à Notre-Dame-de-Gravenchon (PJ2S), au calme, proche des commerces et avec accès facile aux grands axes.Viabilisé, avec coffrets de raccordement sur le terrain.Libre de constructeur!Assainissement individuel à prévoir.Prix: 54300 euros, honoraires charge vendeurs.Les autres parcelles du lotissement présentées sur le plan sont également en vente.Me consulter pour plus d’informations.Les informations sur les risques auxquels ce bien est exposé sont disponibles sur le site Géorisques: (Lien supprimé) />Bien non soumis au DPE.Pour visiter et vous accompagner dans votre projet, contactez Cécile LESUISSE, au (Numéro supprimé) ou, par courriel à (Email supprimé).Selon l’article L.561.5 du Code Monétaire et Financier, pour l’organisation de la visite, la présentation d’une pièce d’identité vous sera demandée.Cette présente annonce a été rédigée sous la responsabilité éditoriale de Cécile LESUISSE agissant sous le statut d’agent commercial immatriculé au RSAC Le Havre 952 627 412 auprès de SAS PROPRIETES PRIVEES, au capital de 44 920 euros, ZAC LE CHÊNE FERRÉ – 44 ALLÉE DES CINQ CONTINENTS 44120 VERTOU; SIRET 487 624 777 00040, RCS Nantes. Carte Professionnelle Transactions sur immeubles et fonds de commerce (T) et Gestion immobilière (G) n°CPI 4401 2016 000 010 388 délivrée par la CCI Nantes – Saint Nazaire. Compte séquestre n(Numéro supprimé)67 BPA SAINT-SEBASTIEN-SUR-LOIRE (44230). Garantie GALIAN-SMABTP – 89 rue de la Boétie, 75008 Paris – n°28137 J pour 2 000 000 euros pour T et 120 000 euros pour G. Assurance responsabilité civile professionnelle par GALIAN-SMABTP n° de police 28137.JMandat réf : 421989. – Le professionnel garantit et sécurise votre projet immobilier. Cécile LESUISSE (EI) Agent Commercial – Numéro RSAC : Le Havre 952 627 412 – .

94 990 € 56 €/m²
1 689 m²

Port-Jérôme-sur-Seine

TERRAIN

Votre conseiller immobilier propriétés-privées.com Rémi RABACHE vous proposent d’acquérir ce beau terrain d’environ 1690m² situé à Touffreville-la-Cable avec vue sur les champs.Terrain non viabilisé, les frais de viabilisation seront à la charge de l’acquéreur.CU opérationnelle tacite positifPrix de vente 94 990 euros charge vendeurPour visiter et vous accompagner dans votre projet, contactez Remi RABACHE, au (Numéro supprimé) ou, par courriel à (Email supprimé).Selon l’article L.561.5 du Code Monétaire et Financier, pour l’organisation de la visite, la présentation d’une pièce d’identité vous sera demandée.Cette présente annonce a été rédigée sous la responsabilité éditoriale de Remi RABACHE agissant sous le statut d’agent commercial immatriculé au RSAC LE HAVRE 851 483 172 auprès de SAS PROPRIETES PRIVEES, au capital de 44 920 euros, ZAC LE CHÊNE FERRÉ – 44 ALLÉE DES CINQ CONTINENTS 44120 VERTOU; SIRET 487 624 777 00040, RCS Nantes. Carte Professionnelle Transactions sur immeubles et fonds de commerce (T) et Gestion immobilière (G) n°CPI 4401 2016 000 010 388 délivrée par la CCI Nantes – Saint Nazaire. Compte séquestre n(Numéro supprimé)67 BPA SAINT-SEBASTIEN-SUR-LOIRE (44230). Garantie GALIAN-SMABTP – 89 rue de la Boétie, 75008 Paris – n°28137 J pour 2 000 000 euros pour T et 120 000 euros pour G. Assurance responsabilité civile professionnelle par GALIAN-SMABTP n° de police 28137.JMandat réf : 403289 – Le professionnel garantit et sécurise votre projet immobilier. Remi RABACHE (EI) Agent Commercial – Numéro RSAC : LE HAVRE 851 483 172 – .

Précédent Suivant

En savoir plus sur Port-Jérôme-sur-Seine

Vous trouverez 7 terrain disponibles à l’achat dans la ville de Port-Jérôme-sur-Seine.
Les prix varient de 49 300€ à 94 990€. Le prix moyen constaté pour un terrrain est de 61 113€.

Nos articles concernant Port-Jérôme-sur-Seine

Image du post Pourquoi acheter un terrain en lotissement ? 27/11/2023
Lire l’article
Pourquoi acheter un terrain en lotissement ?
Image du post Vendre son terrain à un promoteur : comment procéder ? 02/11/2023
Lire l’article
Vendre son terrain à un promoteur : comment procéder ?
Image du post Diviser le terrain de sa maison pour le vendre : pourquoi et comment ? 30/10/2023
Lire l’article
Diviser le terrain de sa maison pour le vendre : pourquoi et comment ?
Image du post Acheter un terrain viabilisé : quels avantages ? 20/10/2023
Lire l’article
Acheter un terrain viabilisé : quels avantages ?
Image du post Les 7 étapes incontournables pour bien vendre votre terrain constructible 16/10/2023
Lire l’article
Les 7 étapes incontournables pour bien vendre votre terrain constructible
Image du post 5 points clés à vérifier pour l’achat d’un terrain constructible  16/10/2023
Lire l’article
5 points clés à vérifier pour l’achat d’un terrain constructible