Terrain Port Jerome Sur Seine
Images
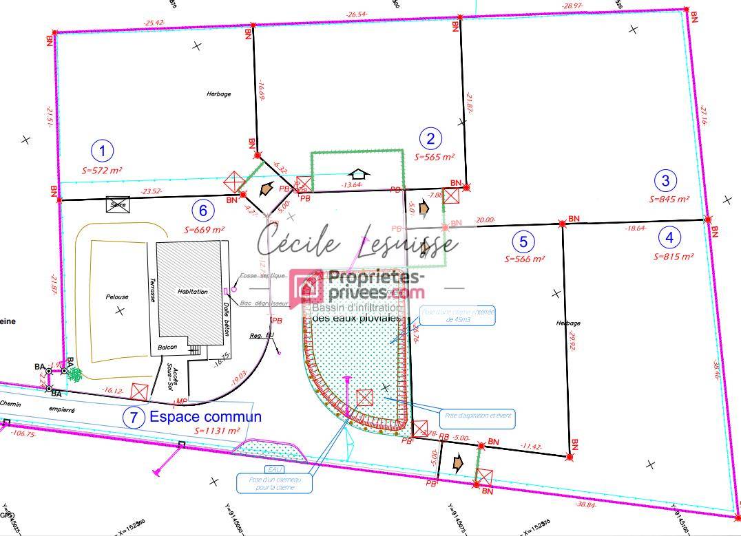
Description
Découvrez ce beau terrain plat à Notre-Dame-de-Gravenchon (PJ2S), au calme, proche des commerces et avec accès facile aux grands axes.
Viabilisé, avec coffrets de raccordement sur le terrain.
Libre de constructeur!
Assainissement individuel à prévoir.
Prix: 54300 euros, honoraires charge vendeurs.
Les autres parcelles du lotissement présentées sur le plan sont également en vente.
Me consulter pour plus d'informations.
Les informations sur les risques auxquels ce bien est exposé sont disponibles sur le site Géorisques: (Lien supprimé) />
Bien non soumis au DPE.
Pour visiter et vous accompagner dans votre projet, contactez Cécile LESUISSE, au (Numéro supprimé) ou, par courriel à (Email supprimé).
Selon l'article L.561.5 du Code Monétaire et Financier, pour l'organisation de la visite, la présentation d'une pièce d'identité vous sera demandée.
Cette présente annonce a été rédigée sous la responsabilité éditoriale de Cécile LESUISSE agissant sous le statut d'agent commercial immatriculé au RSAC Le Havre 952 627 412 auprès de SAS PROPRIETES PRIVEES, au capital de 44 920 euros, ZAC LE CHÊNE FERRÉ - 44 ALLÉE DES CINQ CONTINENTS 44120 VERTOU; SIRET 487 624 777 00040, RCS Nantes. Carte Professionnelle Transactions sur immeubles et fonds de commerce (T) et Gestion immobilière (G) n°CPI 4401 2016 000 010 388 délivrée par la CCI Nantes - Saint Nazaire. Compte séquestre n(Numéro supprimé)67 BPA SAINT-SEBASTIEN-SUR-LOIRE (44230). Garantie GALIAN-SMABTP - 89 rue de la Boétie, 75008 Paris - n°28137 J pour 2 000 000 euros pour T et 120 000 euros pour G. Assurance responsabilité civile professionnelle par GALIAN-SMABTP n° de police 28137.J
Mandat réf : 421986. - Le professionnel garantit et sécurise votre projet immobilier.
Cécile LESUISSE (EI) Agent Commercial - Numéro RSAC : Le Havre 952 627 412 - .
Logement susceptibles de vous intéresser
Nous vous proposons de découvrir aussi cette sélection de logements situés à moins de 10km de Port-Jérôme-sur-Seine et qui seraient susceptibles de vous intéresser.
Petiville
TERRAINVENTE : terrain de 670 m² à PetivilleÀ Petiville (76330) à vendre à 11 km de la Manche, donnez vie à votre résidence principale ou secondaire sur ce terrain de 670 m². Il y a l’École Primaire Antoine de Saint-Exupéry à moins de 10 minutes à pied. Les autoroutes A131 et A13 et la nationale N182 sont accessibles à moins de 10 km. On trouve un tennis et une boucherie-charcuterie à proximité.Il est à vendre pour la somme de 59 000 €. N’hésitez pas à prendre contact avec Barbara PELLETER ((Numéro supprimé)) pour toute information sur ce terrain, sur les démarches à suivre et sur les modalités de vente. Les Maisons Extraco Le Havre vous accompagne dans tous vos projets immobiliers et à toutes les étapes de votre projet.
Petiville
TERRAIN ET MAISONVENTE d’une maison T4 (81 m²) à PetivilleMAISON 4 PIÈCES NEUVEÀ vendre : située à 11 km de la Manche, à Petiville (76330), nous vous proposons cette maison de 4 pièces de 81 m² et de 670 m² de terrain.Il s’agit d’une maison de 2 niveaux. Elle compte deux chambres, une cuisine et une salle de bains. La maison est neuve.On trouve l’École Primaire Antoine de Saint-Exupéry à moins de 10 minutes à pied. Les autoroutes A131 et A13 et la nationale N182 sont accessibles à moins de 10 km. Il y a un tennis et une boucherie-charcuterie dans les environs.Elle est proposée à l’achat pour 199 000 €.Contactez Barbara PELLETER (tél : (Numéro supprimé)) pour toute question sur la maison, sur les modalités de vente ou sur les démarches à suivre. Les Maisons Extraco Le Havre vous accompagne à toutes les étapes de l’achat et dans tous vos projets immobiliers.
Petiville
TERRAIN ET MAISONVENTE d’une maison de 5 pièces (100 m²) à PetivilleMAISON 5 PIÈCES NEUVEÀ 11 km de la Manche, à vendre à Petiville (76330), nous vous proposons cette maison de 5 pièces de 100 m² et de 670 m² de terrain.C’est une maison de 2 niveaux. Son intérieur inclut quatre chambres, une cuisine et une salle de bains. Cette maison est neuve.Il y a l’École Primaire Antoine de Saint-Exupéry à moins de 10 minutes à pied. Les autoroutes A131 et A13 et la nationale N182 sont accessibles à moins de 10 km. On trouve un tennis et une boucherie-charcuterie à proximité.Elle est proposée à l’achat pour 239 000 €.Contactez notre agence (Barbara PELLETER : (Numéro supprimé)) pour toute question sur la maison, sur les démarches à suivre ou sur les modalités de vente. Les Maisons Extraco Le Havre vous accompagne dans tous vos projets immobiliers et dans toutes vos démarches.
Petiville
TERRAIN ET MAISONVENTE : maison T5 (86 m²) à PetivilleMAISON 5 PIÈCES NEUVEÀ 11 km de la Manche, Les Maisons Extraco Le Havre vous présente cette maison de 5 pièces de 86 m² à vendre à Petiville (76330). Son intérieur compte trois chambres, une cuisine et une salle de bains.Le terrain de la propriété s’étend sur 670 m².Il s’agit d’une maison de 2 niveaux. Elle est neuve.L’École Primaire Antoine de Saint-Exupéry est implantée à moins de 10 minutes à pied. Les autoroutes A131 et A13 et la nationale N182 sont accessibles à moins de 10 km. On trouve un tennis et une boucherie-charcuterie à proximité du bien.Son prix de vente est de 195 000 €.Contactez Barbara PELLETER (tél : (Numéro supprimé)) pour obtenir de plus amples renseignements sur cette maison, sur les modalités de vente ou sur les démarches à suivre. Les Maisons Extraco Le Havre vous accompagne dans tous vos projets immobiliers et à toutes les étapes de l’achat.
Petiville
TERRAIN ET MAISONVENTE d’une maison de 4 pièces (75 m²) à PetivilleMAISON 4 PIÈCES NEUVEÀ vendre : à 11 km de la Manche, Les Maisons Extraco Le Havre vous présente cette maison de 4 pièces de plain-pied de 75 m² et de 670 m² de terrain à Petiville (76330). Conçue de plain-pied, elle compte trois chambres, une cuisine et une salle de bains.Cette maison est neuve.Il y a l’École Primaire Antoine de Saint-Exupéry à moins de 10 minutes à pied. Les autoroutes A131 et A13 et la nationale N182 sont accessibles à moins de 10 km. On trouve un tennis et une boucherie-charcuterie à quelques minutes du logement.Son prix de vente est de 192 000 €.N’hésitez pas à prendre contact avec Barbara PELLETER (tél : (Numéro supprimé)) pour obtenir de plus amples renseignements sur cette maison, sur les démarches à suivre ou sur les modalités de vente. Les Maisons Extraco Le Havre est là pour vous accompagner dans tous vos projets immobiliers.
Petiville
TERRAINTerrain de 649 m² à vendre à PetivilleEn vente à 11 km de la Manche à Petiville (76330), grand terrain. Il est prêt à accueillir votre résidence principale ou secondaire pour toute la famille. L’École Primaire Antoine de Saint-Exupéry est implantée à moins de 10 minutes à pied. Les autoroutes A131 et A13 et la nationale N182 sont accessibles à moins de 10 km. Il y a un tennis et une boucherie-charcuterie dans les environs.Il est proposé à l’achat pour 63 500 €. N’hésitez pas à prendre contact avec notre agence (PELLETER Barbara : (Numéro supprimé)) pour tout renseignement sur ce terrain.
Petiville
TERRAINVENTE : terrain de 722 m² à PetivilleÀ Petiville (76330) à 11 km de la Manche, projetez la maison de vos rêves sur ce terrain de 722 m². Il y a l’École Primaire Antoine de Saint-Exupéry à moins de 10 minutes à pied. Les autoroutes A131 et A13 et la nationale N182 sont accessibles à moins de 10 km. On trouve un tennis et une boucherie-charcuterie dans les environs.Il est proposé à l’achat pour 67 500 €. Prenez contact avec notre agence (PELLETER Barbara : (Numéro supprimé)) pour tout renseignement sur le terrain.
Petiville
TERRAIN ET MAISONVENTE : maison F4 (93 m²) à PetivilleMAISON 4 PIÈCES NEUVEÀ 11 km de la Manche, à vendre à Petiville (76330), notre agence Les Maisons Extraco Le Havre est heureuse de vous proposer cette maison de 4 pièces de plain-pied de 93 m² et de 649 m² de terrain.Son intérieur propose trois chambres, une cuisine et une salle de bains. La maison est neuve.On trouve l’École Primaire Antoine de Saint-Exupéry à moins de 10 minutes à pied. Les autoroutes A131 et A13 et la nationale N182 sont accessibles à moins de 10 km. Il y a un tennis et une boucherie-charcuterie à proximité du bien.Elle est à vendre pour la somme de 222 500 €.N’hésitez pas à prendre contact avec notre agence (PELLETER Barbara : (Numéro supprimé)) pour tout renseignement sur cette maison. Les Maisons Extraco Le Havre vous accompagne dans tous vos projets immobiliers et dans toutes vos démarches.
Petiville
TERRAIN ET MAISONPetiville : maison de 4 pièces (82 m²) à vendreMAISON 4 PIÈCES NEUVEÀ vendre : à 11 km de la Manche, votre agence Les Maisons Extraco Le Havre est ravie de vous présenter à Petiville (76330), cette maison de 4 pièces de plain-pied de 82 m².Elle propose trois chambres, une cuisine et une salle de bains. Cette maison est neuve.Le terrain de la propriété est de 649 m².Il y a l’École Primaire Antoine de Saint-Exupéry à moins de 10 minutes à pied. Les autoroutes A131 et A13 et la nationale N182 sont accessibles à moins de 10 km. On trouve un tennis et une boucherie-charcuterie dans les environs.Son prix de vente est de 205 000 €.Contactez notre constructeur (PELLETER Barbara : (Numéro supprimé)) pour toute question sur cette maison ou sur les modalités de vente.
L’actualité immobilière à Port-Jérôme-sur-Seine
27/11/2023
02/11/2023
30/10/2023
20/10/2023
16/10/2023
16/10/2023